Dans ViGlob 360, la fusion de membres vous permet de regrouper les informations de plusieurs profils en un seul, afin d’éliminer les doublons et de maintenir une base de données propre et efficace. Voici les étapes simples pour fusionner des membres et assurer une gestion optimale de vos contacts :
1. Identifier les doublons : Si un membre possède plusieurs comptes, il est recommandé de fusionner les comptes en doublon pour éviter la confusion.
2. Accéder au module Membres : Connectez-vous à votre base de données, puis cliquez sur le module Membres et Contacts dans le menu de gauche.

3. Utiliser l'option de fusion : Allez dans l'onglet Fusion / Membres pour démarrer le processus de fusion des comptes.
4. Rechercher et sélectionner les profils : Dans le tableau des membres, effectuez une recherche pour trouver les profils en doublon. Renseignez ensuite les cases pour le Code d'accès du dossier à supprimer et celui à conserver.
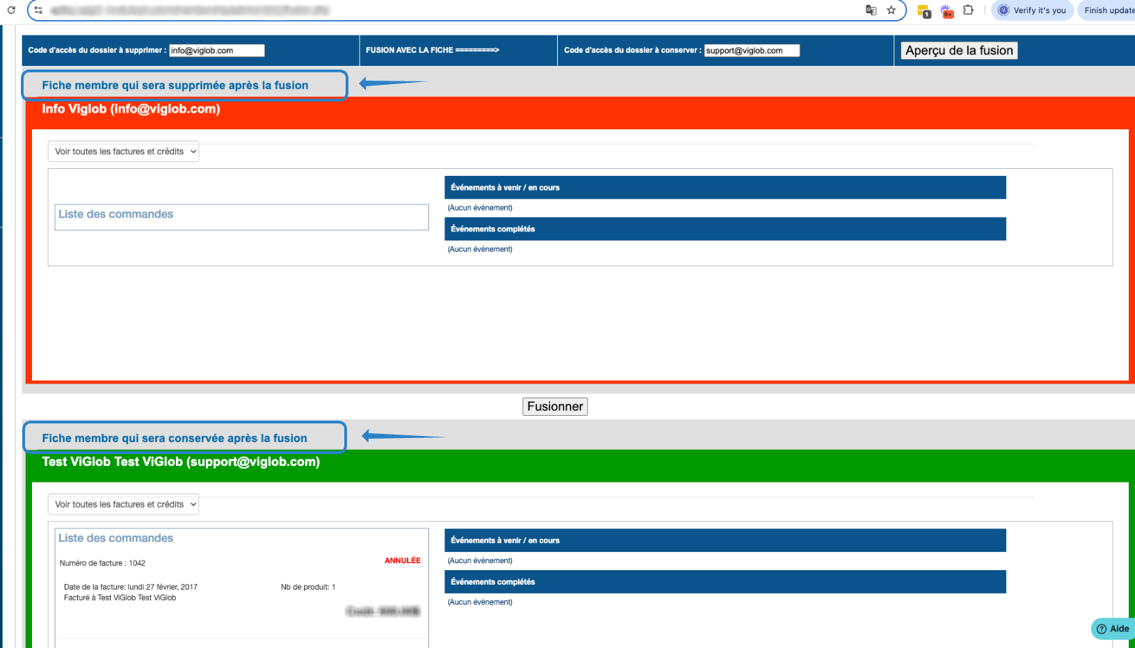
*Cette fonctionnalité permet de fusionner deux fiches de membres qui ont des données semblables (prénom, nom, courriel, etc...) et qui sont probablement des doublons.
Attention : si vous entrez autre chose que le code d’accès, un message d’erreur apparaîtra. Veuillez vous assurer d’utiliser uniquement le code d’accès dans chaque champ.
5. Aperçu de la fusion : Cliquez sur Aperçu de la fusion. Le système vous affichera un résumé des informations avant de valider l’opération.

6.Confirmer la fusion : Après avoir vérifié les données, cliquez sur le bouton Fusionner pour finaliser le processus.
Conseil : Si vous souhaitez fusionner des comptes et, par la suite, ne plus donner accès à une personne, vous pouvez changer son mot de passe ou modifier son code d'accès. Par exemple, vous pouvez ajouter "_compteinvalide" à celui-ci pour le rendre inactif.
Cet article a-t-il été utile ?
C'est super !
Merci pour votre commentaire
Désolé ! Nous n'avons pas pu vous être utile
Merci pour votre commentaire
Commentaires envoyés
Nous apprécions vos efforts et nous allons corriger l'article
